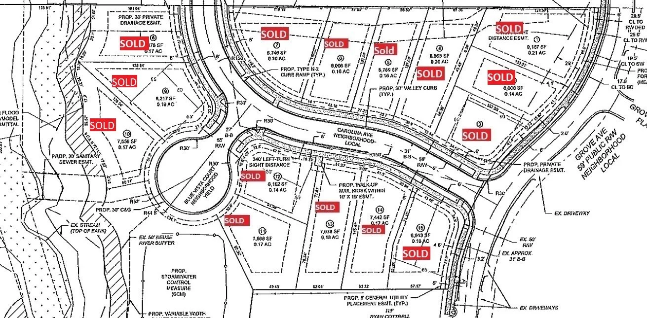
Grove Avenue Subdivision
All Homes are SOLD or Under Contract
West Raleigh Niche Neighborhood. 15 Custom homes. Construction Began 2021. More lots to be released soon and we will resume accepting offers on the available lots.
Grove Avenue Lots/Floor Plans
Lot 1 - Laurel II - SOLD
Lot 2 - Holly - SOLD
Lot 3 - Laurel - SOLD
Lot 4 - Birch - SOLD
Lot 5 - Oak B - SOLD
Lot 6 - Oak A w/ Ext. Garage- SOLD
Lot 7 - Medway - SOLD
Lot 8 - Cypress II w/ Basement - SOLD
Lot 9 - Holly - Under Contract
Lot 10 - Aurelia - Under Contract
Lot 11 - Oak A - SOLD
Lot 12 - Laurel - SOLD
Lot 13 - Oak A - SOLD
Lot 14 - Poplar - SOLD
Lot 15 - Linden II - SOLD
Floor Plans
Lot 10 - 5104 Blue Vista - The Aurelia
 
        
        
      
           
        
        
      
           
        
        
      
           
        
        
      
           
        
        
      
           
        
        
      
           
        
        
      
           
        
        
      
           
        
        
      
           
        
        
      
           
        
        
      
           
        
        
      
           
        
        
      
           
        
        
      
           
        
        
      
           
        
        
      
           
        
        
      
           
        
        
      
           
        
        
      
           
        
        
      
           
        
        
      
           
        
        
      
           
        
        
      
           
        
        
      
           
        
        
      
           
        
        
      
           
        
        
      
           
        
        
      
           
        
        
      
           
        
        
      
           
        
        
      
           
        
        
      
           
        
        
      
           
        
        
      
           
        
        
      
           
        
        
      
           
        
        
      
           
        
        
      
           
        
        
      
           
        
        
      
           
        
        
      
           
        
        
      
           
        
        
      
    Lot 9 - The Holly
 
        
        
      
           
        
        
      
           
        
        
      
           
        
        
      
           
        
        
      
           
        
        
      
           
        
        
      
           
        
        
      
           
        
        
      
           
        
        
      
           
        
        
      
           
        
        
      
           
        
        
      
           
        
        
      
           
        
        
      
           
        
        
      
           
        
        
      
           
        
        
      
           
        
        
      
           
        
        
      
           
        
        
      
           
        
        
      
           
        
        
      
           
        
        
      
           
        
        
      
           
        
        
      
           
        
        
      
           
        
        
      
           
        
        
      
           
        
        
      
           
        
        
      
           
        
        
      
           
        
        
      
           
        
        
      
           
        
        
      
           
        
        
      
    Lot 2 - The Holly
 
        
        
      
           
        
        
      
           
        
        
      
           
        
        
      
           
        
        
      
           
        
        
      
           
        
        
      
           
        
        
      
           
        
        
      
           
        
        
      
           
        
        
      
           
        
        
      
           
        
        
      
           
        
        
      
           
        
        
      
           
        
        
      
           
        
        
      
           
        
        
      
           
        
        
      
           
        
        
      
           
        
        
      
           
        
        
      
           
        
        
      
           
        
        
      
           
        
        
      
           
        
        
      
           
        
        
      
           
        
        
      
           
        
        
      
           
        
        
      
           
        
        
      
           
        
        
      
           
        
        
      
           
        
        
      
           
        
        
      
           
        
        
      
           
        
        
      
           
        
        
      
           
        
        
      
           
        
        
      
           
        
        
      
           
        
        
      
    Lot 3 - Laurel II Closed March 2022
 
        
        
      
           
        
        
      
           
        
        
      
           
        
        
      
           
        
        
      
           
        
        
      
           
        
        
      
           
        
        
      
           
        
        
      
           
        
        
      
           
        
        
      
           
        
        
      
           
        
        
      
           
        
        
      
           
        
        
      
           
        
        
      
           
        
        
      
           
        
        
      
           
        
        
      
           
        
        
      
           
        
        
      
           
        
        
      
           
        
        
      
           
        
        
      
           
        
        
      
           
        
        
      
           
        
        
      
           
        
        
      
           
        
        
      
           
        
        
      
           
        
        
      
           
        
        
      
           
        
        
      
           
        
        
      
           
        
        
      
           
        
        
      
           
        
        
      
           
        
        
      
           
        
        
      
           
        
        
      
           
        
        
      
           
        
        
      
           
        
        
      
           
        
        
      
           
        
        
      
           
        
        
      
           
        
        
      
           
        
        
      
           
        
        
      
           
        
        
      
           
        
        
      
           
        
        
      
           
        
        
      
           
        
        
      
           
        
        
      
    Lot 15 - The Linden - Closed July 2022:
 
        
        
      
           
        
        
      
           
        
        
      
           
        
        
      
           
        
        
      
           
        
        
      
           
        
        
      
           
        
        
      
           
        
        
      
           
        
        
      
           
        
        
      
           
        
        
      
           
        
        
      
           
        
        
      
           
        
        
      
           
        
        
      
           
        
        
      
           
        
        
      
           
        
        
      
           
        
        
      
           
        
        
      
           
        
        
      
           
        
        
      
           
        
        
      
           
        
        
      
           
        
        
      
           
        
        
      
           
        
        
      
           
        
        
      
           
        
        
      
           
        
        
      
           
        
        
      
           
        
        
      
           
        
        
      
           
        
        
      
           
        
        
      
           
        
        
      
           
        
        
      
           
        
        
      
           
        
        
      
           
        
        
      
           
        
        
      
           
        
        
      
           
        
        
      
           
        
        
      
           
        
        
      
           
        
        
      
           
        
        
      
           
        
        
      
           
        
        
      
           
        
        
      
           
        
        
      
           
        
        
      
           
        
        
      
           
        
        
      
    Example of one of our previous Oak builds below:
 
        
        
      
           
        
        
      
           
        
        
      
           
        
        
      
           
        
        
      
           
        
        
      
           
        
        
      
           
        
        
      
           
        
        
      
           
        
        
      
           
        
        
      
           
        
        
      
           
        
        
      
           
        
        
      
           
        
        
      
           
        
        
      
           
        
        
      
           
        
        
      
           
        
        
      
           
        
        
      
           
        
        
      
           
        
        
      
           
        
        
      
           
        
        
      
           
        
        
      
           
        
        
      
           
        
        
      
           
        
        
      
           
        
        
      
           
        
        
      
           
        
        
      
           
        
        
      
           
        
        
      
           
        
        
      
           
        
        
      
           
        
        
      
           
        
        
      
           
        
        
      
           
        
        
      
           
        
        
      
           
        
        
      
    Lot 14 - The Poplar - Closed April 2022
 
        
        
      
           
        
        
      
           
        
        
      
           
        
        
      
           
        
        
      
           
        
        
      
           
        
        
      
           
        
        
      
           
        
        
      
           
        
        
      
           
        
        
      
           
        
        
      
           
        
        
      
           
        
        
      
           
        
        
      
           
        
        
      
           
        
        
      
           
        
        
      
           
        
        
      
           
        
        
      
           
        
        
      
           
        
        
      
           
        
        
      
           
        
        
      
           
        
        
      
           
        
        
      
           
        
        
      
           
        
        
      
           
        
        
      
           
        
        
      
           
        
        
      
           
        
        
      
           
        
        
      
           
        
        
      
           
        
        
      
           
        
        
      
           
        
        
      
           
        
        
      
           
        
        
      
           
        
        
      
           
        
        
      
           
        
        
      
           
        
        
      
           
        
        
      
           
        
        
      
           
        
        
      
           
        
        
      
           
        
        
      
           
        
        
      
           
        
        
      
           
        
        
      
           
        
        
      
           
        
        
      
           
        
        
      
           
        
        
      
    Example of one of our previous Medway builds below:
 
        
        
      
           
        
        
      
           
        
        
      
           
        
        
      
           
        
        
      
           
        
        
      
           
        
        
      
           
        
        
      
           
        
        
      
           
        
        
      
           
        
        
      
           
        
        
      
    
